Фактор неожиданности
Ночные заморозки в Крыму в первой декаде мая оставили некоторых аграриев региона без урожая. А значит, меньше будет на крымских рынках яблок, черешни. Понятно, что без фруктов не останемся, но… Председатель Комитета Торгово-промышленной палаты РК по развитию агропромышленного сектора Роман Бульенов отмечает, что полуостров не одинок в этой ситуации: уже в семи регионах России объявлена ЧС.
– Это неожиданный, непрогнозируемый фактор. И это действительно чрезвычайная ситуация, в которой нужно помогать предприятию, потому что государство инвестировало в него значительные денежные средства. А если государство вложило деньги, то предприятие занимается обеспечением продовольственной безопасности страны, – отметил он.
Есть нюанс
– Мы сейчас прорабатываем вопрос оказания поддержки, чтобы нивелировать те экономические ожидаемые убытки, которые проявятся в результате недобора урожая в конкретных сельскохозяйственных предприятиях. Если быть точнее, то в основном это хозяйства Белогорского района, – рассказывает заместитель министра сельского хозяйства Крыма Николай Тютюник.
По его словам, действующие механизмы компенсации уже отлажены. И какие из них смогут применить для пострадавших от заморозков аграриев, пока решается.
С другой стороны, было бы проще, если бы аграрии застраховали свои посевы и посадки? На этот вопрос «Крымской газеты» Роман Бульенов отмечает:
– Страховка – очень хороший инструмент для аграриев, так как половина стоимости страховой премии возмещается государством. На это выделяются миллиарды рублей. Но по факту правила страхования написаны так, что этот инструмент не работает для садоводов, у которых многолетние насаждения.
По его словам, главная здесь причина – расчёт компенсации за ущерб. Она рассчитывается, исходя из средней урожайности за последние пять лет. А о каком пятилетнем сроке можно говорить, если многие сады в Крыму молодые, они только-только закладываются и потихоньку возрождаются?
Давайте посчитаем
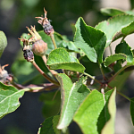
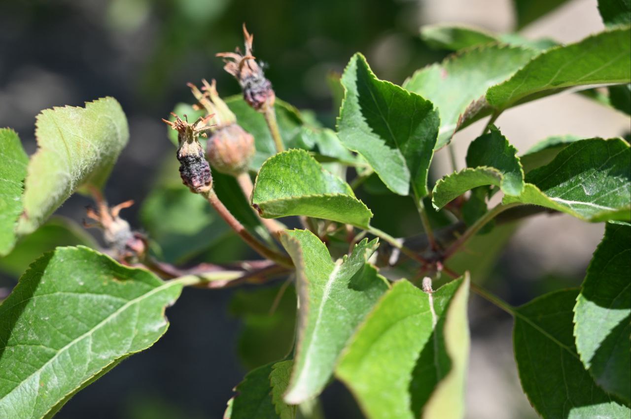
В Крыму в общей сложности пострадало около десяти предприятий в Бахчисарайском, Белогорском и Симферопольском районах, а также в Судаке. Площадь повреждений составила 553,3 га. Вымерзли яблони на площади 411,1 га, черешни – 11,2 га, виноград – 84 га, лаванда узколистная – 30 га и шалфей лекарственный – 17 га. В некоторых хозяйствах культуры погибли почти полностью.
Особенно пострадали от заморозков садоводы Белогорского района. Например, в хозяйстве Георгия Данишевского 355 га, из которых 165 га плодоносящего и вступающего в плодоношение сада вымерзло, то есть урожай практически весь потерян.
– Сад погиб, погиб урожай, а нам сейчас нужно с ним работать так, как с плодоносящим, потому что тут развиваются болезни и вредители. Какая разница, есть тут яблоко или нет? Мы должны ухаживать, потому что это потом скажется на урожае следующего года. Нам не обойтись без государственной помощи, – отмечает Георгий Данишевский.
По словам руководителя сельхозпредприятия, шансов спасти урожай не было. Нет таких технологий или препаратов, чтобы защитить сады при температуре -6 градусов, тем более когда на ветках уже образуется завязь.
Как отмечает Георгий Данишевский, было бы идеально, если бы для таких пострадавших от заморозков аграриев, как он, объявили режим чрезвычайной ситуации. При развитии садоводства аграрий активно пользовался поддержкой государства, различными субсидиями, позволяющими ему вернуть до 80% вложений. И теперь ему как участнику госпрограммы нужно выполнить план по производству яблок. А где их взять? Вместо прогнозируемых четырёх тысяч тонн урожая, здесь готовятся собрать максимум сто тонн яблок. Кроме того, руководитель должен сохранить зарплату сотрудников на прежнем уровне, ведь потерять хороших специалистов легко, а вот пойди найди потом...
Самый-самый
По информации Минсельхоза Крыма, с 1991 по 2020 год была проведена выборка метеоданных по заморозкам. Самый сильный заморозок на почве был зафиксирован 1 мая 1997 года в Белогорском районе (до -4 градусов).
Самое позднее понижение температуры на поверхности почвы наблюдалось 26 мая 1992 года. Интенсивность заморозка была -3 градуса.
По многолетним данным, самый сильный заморозок в воздухе отмечен 8 мая 1999 года, он составил -3,8 градуса.
Ирина ГУЛИВАТАЯ












